Joseph CGantert

518 Vera, Lusby, MD 20657

$82,000
  • 518 Vera, Lusby, MD 20657 Main Photo

26 Total Photos [Click to View All]

ACTIVE
LOT SIZE 1.140 acres MLS#MDCA2025416
STATUSACTIVE PROPERTY TYPELand - Residential SUBDIVISIONWHITE SANDS SCHOOLCALVERT COUNTY PUBLIC SCHOOLS

Property Description

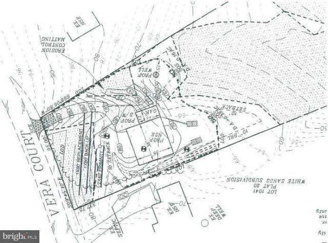
Build the home you’ve always imagined on this beautiful 1.14‑acre lot in the sought‑after White Sands community. With an original site plan approved for a two‑level home with basement and attached garage, you’ll have the freedom to design a residence that truly fits your vision. The seller is also offering a $5,000 credit toward your new home site plans or allowable closing costs (per lender guidelines). Set in a peaceful, water‑oriented neighborhood, White Sands is known for its easygoing lifestyle, affordability, and quick access to Solomons, Lusby, and local marinas. It’s an ideal location for anyone seeking space, privacy, and a connection to the outdoors—whether as a full‑time home or a weekend escape. MLS documents include the well and perc test and paid impact fee information. Buyers are encouraged to verify all details. Be sure to explore the shared videos showcasing the lot’s natural beauty and nearby water views.

518 Vera | MLS# MDCA2025416

This land located at 518 Vera, Lusby, MD 20657 is currently listed for sale with an asking price of $82,000. The property has approximately 1.14 Acres. Vera is located within the CALVERT COUNTY PUBLIC SCHOOLS school district. Search Lusby real estate on jgantert.realtymark.net today.

Property Features

Property Type: Land - Residential
Lot Size: 1.14 Acres
Taxes: $1,021

Feature Descriptions

Days on Site: 47
HOA Fee: $190.00/Annually
Lot Dimensions: 1.14 Acre(S)
Sewer: No Septic System
Water: Well

Local Schools

School District: CALVERT COUNTY PUBLIC SCHOOLS

Listed By / Shown By

Listed By

Agency Name: Coldwell Banker Realty
Agency Phone: 7035188300

Shown By

Agent Name: Joseph C Gantert
Agent Phone: Cell: (267) 342-0511
Agency Title: RealtyMark

IDX logo

Estimate Your Payment

Estimated Payment

$ 291.50 per month $182.50 Principal & Interest $85.08 Property Tax $23.92 Homeowner's Insurance

Change Payment Information

%
years/fixed
yearly
yearly (est.)
(Payments are an estimate and may vary by lender)
All commissions are negotiable Disclaimer: All information deemed reliable but not guaranteed. All properties are subject to prior sale, change or withdrawal. Neither listing broker(s) or information provider(s) shall be responsible for any typographical errors, misinformation, misprints and shall be held totally harmless. Listing(s) information is provided for consumers personal, non-commercial use and may not be used for any purpose other than to identify prospective properties consumers may be interested in purchasing. Information on this site was last updated 04/23/2026. The listing information on this page last changed on 04/23/2026. The data relating to real estate for sale on this website comes in part from the Internet Data Exchange program of Delta Media Group MLS (last updated Thu 04/23/2026 4:16:53 AM EST) or Stellar MLS (last updated Thu 04/23/2026 1:58:59 AM EST) or GSMLS (last updated Thu 04/23/2026 12:24:09 AM EST) or Emerald Coast MLS (last updated Thu 04/23/2026 12:05:24 AM EST) or Central Panhandle Association of Realtors (last updated Thu 04/23/2026 1:17:20 AM EST) or Beaches MLS (last updated Thu 04/23/2026 2:38:01 AM EST) or Naples MLS (last updated Wed 04/22/2026 11:40:20 PM EST) or Bright MLS (last updated Thu 04/23/2026 12:38:38 AM EST) or OneKey MLS (last updated Thu 04/23/2026 1:45:20 AM EST). Real estate listings held by brokerage firms other than RealtyMark may be marked with the Internet Data Exchange logo and detailed information about those properties will include the name of the listing broker(s) when required by the MLS. All rights reserved.
Privacy Policy / DMCA Notice / ADA Accessibility

Login to My Homefinder

Pixel